
冥王星曾经一直认为是距离我们最远的行星。直到天文学家发现了许多其他冰状天体,在冥王星周围一起绕着太阳运行,2006年,可怜的冥王星被降级了。
自从1930年冥王星被汤博发现,到2006年降级,只有区区76年。而冥王星的公转周期为247.94年,所以从发现到降级,它绕太阳运行只转了很小的角度。
虽然冥王星被降级为矮行星了,但科学家们一点也没有忽视这个“小弟弟”。对于科学家们而言,这颗矮行星充满了神秘。
冥王星又小又远,大约30亿英里远。即使是最好的望远镜也只能看到一个模糊的斑点。

* 这张照片是之前最好的冥王星照片,由哈勃太空望远镜拍摄
哈勃太空望远镜只能拍到冥王星的20个像素点。科学家们只能知道有些地方是亮的,有些地方是暗的,无法知道它们是什么。
科学家们所能了解的冥王星,就是知道它上面有氮冰,有一个卫星等有限的一些信息。
所以要揭开冥王星神秘的面纱,必须要到那里去拜访它才行。
2015年夏天,美国宇航局的“新视野号”(也叫“新地平线号”)探测器的任务就是去访问冥王星。
当第一批照片传回来了时,科学家们都震惊了!原本他们期望看到的是一个和我们的月球类似的,平坦且死寂的世界。
但是,恰恰相反,这些照片,展示了一个令人眼花缭乱的多样性的世界。有高耸的山脉、蜿蜒的冰川、广阔的无火山口的平原。这些都暗示着近期的地质活动,冥王星似乎还活着。

* 冥王星的照片,右下角照片就是那颗著名的“爱心”
从“新视野号”发回一张张照片中,科学家们发现有一些特征无法用简单的理论来解释。
【冥王星上的冰火山】
其中最让科学家困惑的是冥王星表面上有一些巨大土丘。每个土丘的顶部都有一个很深的洼地。这些土丘看起来就像年轻的火山。

* 冥王星表面上的巨大土丘
但在一个主要由冰构成的行星表面,怎么可能有火山呢?
如果在地球上看到这样的东西,你会说,“那是一座火山”;如果火星上看到它,你还是会说:“那是一座火山”。
然而当你在冥王星上看到它,你一定会想:“这是什么?”
冥王星上应该没有什么东西能驱动火山,那么这些是什么呢?
冥王星上的神秘土堆非常巨大,超过100英里宽,大约3英里高。
为了弄清楚这些令人费解的构造,科学家们研究了地球上类似的特征。
在冰岛,有火山叫做“斯恰尔布雷泽火山”,在冰岛语中的意思是“宽盾”。行星地质学家把这种火山称之为“地盾火山”。
盾状火山是由流动熔岩长时间喷发形成的。它们的形状像战士的盾牌放在地上。
在冥王星上看到盾形的山顶火山口,科学家们认为它们可能是盾状火山。因为它的形状很宽,而且山顶上有像斯恰尔布雷泽火山一样的火山口。
在其他行星上发现盾状火山并不罕见。比如火星和地球,大部分由岩石构成。火星下就有个太阳系最大的火山——奥林匹斯山。同样是盾状火山。这些盾状火山都是数百万年前热流熔岩大规模喷发而成的。
但熔岩是熔化的岩石,所以问题就来了,冥王星距离太阳太远了,不可能有岩石会熔化。但如果这样的特征真的是火山形成的,那么它们一定是由与熔岩截然不同的东西形成的。
显然,冥王星上不可能喷发出熔岩来,它的表面不是由玄武岩构成的,相反,它是由水冰构成的。
冥王星地壳表面的基岩上是冰冻的氮,而地幔是固态的水冰。
一定有一部分水冰在某原因下融化了,于是形成了爆炸性的液体泥浆流喷射到冥王星的表面。就像地球上炽热的岩石熔岩一样,温暖的雪泥在地表迅速冻结,于是形成了广阔的冰盾。
所以冥王星上的火山并不是岩质行星上的火山,而是冰火山,冷火山。

* 冥王星上冰火山形成示意图
除了冥王星上的冰火山,最令科学家们兴奋的事情是,它们几乎没有陨石坑。这意味着形成冰火山的温暖的雪泥一定是最近才流出来的。这些特征非常非常的年轻。
也就是说,冥王星绝对不是死寂的世界,它今天还很活跃。因为没有足够的时间让彗星撞击冥王星,并在轰击下形成一个个历史印记。冥王它还活跃着,还有活火山的可能性。
【冥王星上的“爱心”】
相信,对于很多人来说,冥王星上最显著的特征就是那颗“爱心”了。
而对于科学家们而言,这个巨大的心形盆地却充满了神秘。因为这个德克萨斯大小的冰盆地似乎正在沸腾着。
我们的太阳系到处都有遭受过暴力的伤痕,撞击坑散落在岩石行星和行星的卫星表面。
只不过在地球上,这些战争的伤疤被熔岩,水和风给抹去了。但如果你现在看月亮,以及一千年后再看,这两个时间点的月亮不会有很大不同。
所以科学家们一直以为冥王星上有很多环形山,就像我们的月球一样,是一个地质上死亡的世界。但当科学家们看到冥王星上这片心形的平原时,它看起来比其他行星上的年轻得多。而且这片平原完全没有陨石坑。
这片心形的平原,科学家命名为“斯普特尼克平原”,它看起来就像地球上的冰川。所以一定有什么东西使表面变得如此光滑。有些东西会定期地把斯普特尼克平原弄平。
但是是什么呢?
科学家们可以排除冰火山的可能性。因为它们会形成山脉,而不是平原。
那还可能是什么呢?
第一条线索来自于苍白的蛇纹线,它们似乎延伸到了平原的北部边缘。这些蜿蜒的地貌看起来就像地球上山脉冰川形成的冰河。

* 斯普特尼克平原北部有氮冰川形成
所以一定有冰在冥王星的高地形成,然后流入斯普特尼克平原,就像地球上的高山上流出的冰川一样。
但冥王星太冷了,水冰无法流动,因此,供给斯普特尼克平原的源头必须是一种非常不同的冰,它是由氮这样的物质构成的。
氮气是构成大气层的主要物质,虽然这是气体,但在冥王星的温度下,它会结冰,变成一个由氮组成的冰川。
科学家们现在认为斯普特尼克平原是一个巨大的盆地,充满了冰冻的氮。由北部的山地冰川提供水源,新鲜的氮稳定流动,这也解释了为什么盆地的边缘如此光滑。
但现在又有另一问题。在冰川流动范围之外的区域也同样没有陨石坑。所以科学家们认为一定有别的东西在清除盆地中央的陨石坑。
斯普特尼克平原上的一个奇怪图案表明了一种惊人的可能性……冥王星的表面可能在沸腾!

* 斯普特尼克平原的局部特写照片
学科家们观察斯普特尼克平原的表面时,他们注意到格子之间有规律的间隔。中间有一点圆润,边缘逐渐变细。这样的外观非常像是……由对流形成的。
所以你可以想像成一罐燕麦粥,当它沸腾的时候它会把下面的物质带到表面,然后经过一次又一次地对流,又把它拉回到两边。
普特尼克平原上的氮冰,可能会像一锅燕麦粥一样沸腾,但在任何时候沸腾的表面看起来都是冰冻且缓慢的。
与这类似,但要快得多的过程就是地球上最活跃的熔岩湖中形成的拼接图案。炽热的熔岩团上升,在表面形成圆形的格子,而冷却的熔岩下沉,在熔岩热泡形成的缝隙之间滑动。

* 地球上熔岩湖与冥王星上氮冰湖对比图
所以当我们观察斯普特尼克平原的表面时,我们所看到的基本上就是一个慢动作的熔岩湖。当温度上升时,物质上升,然后移动,温度下降后,再下沉。
如果我们能让它在几千年里加速,我们就能看到表面上的单个格子里面充满了对流的氮,会在不停地翻滚、搅动、沸腾和移动。
然后现在还有一个问题,虽然像氮冰这样冷的东西流动并不需要很多的能量。但它确实是需要一些能量的。所以热量从何而来?
【冥王星驱动冰火山的热量从哪里来】
40亿年前,冥王星刚形成的时候,它是一颗炙热的星球,但冥王星太小了,这些热量无法长久保留。而且它离太阳太远,阳光几乎不会对冥王星产生影响。所以,科学家们从没想过它会是一个活跃的世界。
如果驱动冥王星地质活动的热量不是来自阳光,那么它一定来自下方。科学家们猜测:冥王星有一个很深的地下液态水海洋,而这海洋以某种方式将热量上升到地表。
如果冥王星内部有一个巨大的水海洋,随着时间的推移,星球变冷,水一定会结冰。当水结冰时,它会释放,一种能量,叫做潜热。
所以冰冻海洋释放出的能量,很可能是冥王星地质活动的主要动力。
结冰的水真的会让行星变热!这听起来很疯狂!但确实有可能是真的。
物理知识告诉我们,水结冰时,的确会放热。这就是科学家们认为地下海洋中的潜热可能导致冥王星上的冰火山活动的原因。
内部海洋的最上层在液态水和上面坚硬的冰相遇的地方就会结冰。在冻结的过程中释放出潜热,潜热通过冥王星的地壳向上传播,于是推动了冥王星表面的地质活动。
虽然,水在结冰的过程中,只会释放一点点热,但如果有一整层海洋都被冰壳冻住了,这样就会产生巨大的热量。
所以能激发出冰火山的,可能仅仅是由部分液态水海洋冻结产生的热量驱动的。
我们人类生活在这个温暖的星球上,所以往往会形成一种固有的“偏见”,认为驱动火山、间歇泉和板块构造等,必须要大量的能量。
事实上并非如此,如果要让岩石融化,那肯定是需要消耗很多能量的。但冰是不需要那么多能量的。
所以在冥王星上,如果有什么东西能把它加热一点点,然后得到融化后的水冰,就会产生和地球上相同的地表地质现象。
如果我们的银河系充满了像冥王星这样的冰冻世界,那么宇宙就会变得有趣得多。
所以如果银河系中的大多数世界都是寒冷的世界,那么可能银河系中大部分的火山活动实际上就是我们在冥王星上看到的冷火山活动。
冥王星改变了我们对固态行星的看法,寒冷世界的星球并非是死寂的世界。
【再次提出生命的问题】
冥王星很可能既有热量,又有液态水,这个简单的事实不禁让科学家们再次提出一个“老生常谈”的问题:距离太阳30亿英里的微型冥王星,是否能成为生命的秘密避难所?
在浩瀚的太空中,我们只知道一个星球是生命的家园,那就是我们的星球,地球。
在地球上,我们拥有生命产生所需的所有元素——能量、液态水和有机分子。我们曾经认为地球是唯一拥有这三种元素的世界。但当机器人探测器访问木星和土星时,它们发现了许多活跃的卫星,它们的地下海洋被热火山喷口加热。而且这些世界似乎也含有生命的基本化学成分。
既然木星的卫星木卫二和土星的卫星土卫二都被认为是潜在的生命避难所,那为什么冥王星的地下海洋就不能呢?
现在冥王星上已经有了生命产生所需元素的两种,那么第三种元素有机化学即碳基分子是否会存在于冥王星上吗?
天文学家相信这些复杂的化学物质可以在寒冷的太空中自发形成。只要有简单的碳基气体和一种能量来源,通常是光,就会形成更复杂的有机化合物。
土卫六(泰坦)的大气层充满了简单的气体:甲烷、一氧化碳和氨。当阳光照射到土卫六的云层顶部时,这些气体结合在一起形成复杂的有机分子悬浮在大气中,形成浓密的薄雾层。
科学家们称这些自然产生的有机分子为“索林”。这是一个通用术语,是对任何复杂的红色的有机分子的统称。这些分子是由更简单的分子分裂和重组形成的。
这些被称为“索林”的有机分子,你可以把它们想象成生命的乐高积木。在地球上,类似索林的化学物质构成了运行生命的细胞,然后DNA和蛋白质让生命运转起来。
如果冥王星像土卫六一样有富含碳的大气层,那么它也会产生索林。
2015年,当新视野号飞船转到背对着太阳的方面,拍摄了这颗矮行星的照片时。科学家们希望能捕捉到这种活性有机化学物质的清晰可见的薄雾。
结果比科学家们预期的要壮观得多。一个美丽的蓝色氮环围绕着冥王星,就像我们在地球上看到的一样。这些美丽的蓝色雾霾层是生产索林的化学制造工厂。

* 围绕着冥王星的蓝色氮环
事实上,冥王星的彩色照片显示表面上那些丰富的红色,橙色及棕色的特征,就是有机化学的佐证。
但冥王星表面是不可能存在生命的,因为它太冷了。但如果索林被循环到星球内部,它们可能会被运送到冰融化为液态水的区域。
这些简单有机分子的化学进化,很有可能在冥王星微弱的热量的驱动下继续进行,也许,简单生命的机制可以在冥王星的次表层海洋中组装起来。就像40亿年前在地球的深海中一样。
科学家们之所以看到地球以外的其他星球有生命的元素存在,就会提出“老生常谈”的问题:“那里有生命吗?”是因为,作为人类,我们希望在地球以外的其他星球上发现生命,哪怕是发现生命的痕迹。这样我们才能进一步了解中宇宙中生命是否是普遍存在,以及我们是否是孤单地存在。
【冥王星的伴星】
在新视野号到达冥王星之前,哈勃太空望远镜就已经发现了冥王星周围有五颗卫星。冥卫一(卡戎)相对于冥王星来讲,是超大卫星。另外四颗则是小得多的冰卫星。

* 哈勃太空望远镜拍摄的冥王星与卫星们
这张照片非常模糊,所以这次“新视野号”的任务之一就是研究这些卫星,并试图发现任何其他的卫星。
关于冥王星是否还有其他卫星,科学家们意义不一。但新视野号证实了哈勃已经看到了所有能看到的东西。
但冥王星的五颗卫星却是一个非常不可思议的世界。除了超大号的冥卫一(卡戎),其余四颗卫星分别是尼克斯、许德拉、科波若斯和斯提克斯,它们的直径都不到40公里。
它们不同于天文学家之前见过的任何卫星,这些天体的旋转速度比科学家们预期的要快得多。不仅如此它们的磁极并没有与冥王星的磁极对齐。它们实际上是自己在一边旋转,然后再绕着冥王星旋转。
为了理解这些疯狂的轨道,科学家们在地球早期历史中寻找线索。
在柯伊伯带形成的早期,这些冰体经常相互碰撞就像地球发生的事情一样。一个火星大小的原行星与地球相撞形成了我们的地球—月球系统。
这可能也发生在冥王星上。冥王星很可能在它年轻的时候受到了巨大的撞击,它的卫星是这次巨大碰撞的残留物。巨大的卡戎与冥王星进入了一个近距离旋转的轨道。在更远的地方,四颗小卫星围绕着这两个天体运行,就像滚落的冰碎片。
超大号卡戎的图像显示了一个灰色的、死亡的世界。上面布满了暴力的过去留下的伤疤。最大的伤疤非常巨大。它几乎将卫星一分为二,看起来就像有人用锤子和凿子把它完全敲碎,然后又把它捣碎在一起。
但究竟是什么力量可以将卡戎这样一颗德州大小的卫星变成这个样子呢?
科学家们认为只有一个选项:水!
40亿年前卡戎内部也有液态海洋,就像今天的冥王星一样。但由于卡戎体积更小,所以冷却得更快,整个海洋都变成了冰。我们知道,水变成冰会反常膨胀,所以可怜的卡戎裂了开来。横跨卡戎赤道的峡谷和断层就是明证。
另外卡戎的红色极地帽也吸引了执行任务科学家的注意。他们把那个称之为“索伦之眼”,对没错就是指环王里的那只邪恶的眼睛。
因为它是红色的,上面覆盖着某种红色物质,科学家们认为这可能是一种索林。“索伦之眼”似乎到处都是索林,但怎么可能呢?
冰冻世界不具备制造复杂有机分子的成分和大气,所以索林肯定是从别的地方来的。
但从哪里来呢?
唯一合理的答案是来自一万英里外的冥王星。但它是怎么从冥王星上来来到卡戎的呢?目前科学家们无法确定。也许就如它的名字一样,这个“索伦之眼”充满了神秘。
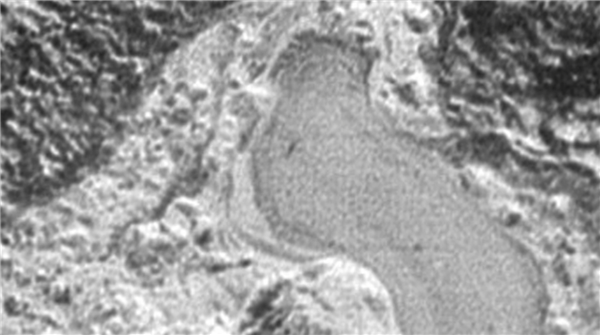
【冥王星表面存在过液氮】
科学家们在查看冥王星的照片时,有一张照片引了他们的注意。这张照片上似乎有一些洼地和水道,看起来像湖泊,甚至像小河。那些流动特征是由氮构成的,虽然它们现在是冰冻的,但在最近的地质历史中,它们似乎是液态的。

* 冥王星上冰冻的“湖泊”
但是怎么会这样呢?冥王星太冷了,它的大气层又太薄,无法在其表面保持住液体。
在整个宇宙中,液体是很难得到的。所有东西似乎都想变成固体或气体,必须要有合适的环境来容纳液相物质。
所以即使是像氮这样的东西,不仅要提高温度,让氮变得温暖,还要有一定的大气压力,需要更厚的大气层来维持表面的液氮。
科学家推断,在过去的一百万年里冥王星一定变暖和了,使冰川蒸发并使大气充满了氮。
但是什么导致了如此极端的气候变化呢?
科学家们首先观察冥王星那细长的围绕太阳运行的轨道。每隔248地球年,冥王星的椭圆轨道就会使它接近太阳。
但这短暂的升温并不足以使冥王星的大气层变厚。当它靠近太阳时,它就会运行得越来越快,当它远离太阳时,速度会慢得多。
所以在冥王星上,夏天不会像冬天那么长。但由于这颗矮行星不稳定的倾斜,所以冥王星的一半球会时不时会迎来一个超级夏天。
从冥王星的北极和南极随着时间的推移而摆动的方式中,科学家们知道冥王星旋转球体的顶部并不像地球一样稳定。
它的两极随时间漂移,每一百万年左右冥王星就会完全向一侧倾斜。在它近距离经过太阳时,将北半球暴露在持续的阳光下。轨道移动产生的热量改变了行星的表面。
这时候的冥王星会变得相对温暖,大气层变厚,充满了云层,暖风扫过平原,冥王星的冰川开始融化。就像动物从冬眠中苏醒一样,冥王星苏醒了。
在过去以及未来的时间中,冥王星一直在经历着变暖和变冷的周期性的不断变化中。
所以,80万年后冥王星将再次苏醒,它将完全倾斜面向太阳,它的山脉将充满氮气流动的声音。在氮湖的岸边,会有带着有机分子的粉色雪落在地表。这真是一个神奇的世界。
通过“新视野号”探测器对冥王星的探测,它告诉我们,在银河系中存在着一个巨大的生命舞台,一个各种各样的世界。这也是冥王星给我们所有人的启示。
它告诉我们外面的事情比你想象的要更精彩得多。
最热文章
京公网安备11010502039775号